Pour quel cheval ?
Il est conseillé d’utiliser l’enrênement extenseur avec des chevaux ayant une attitude haute. Il peut être une bonne alternative pour un jeune cheval à qui on souhaite apprendre à travailler vers le bas. Attention à avoir une impulsion « juste » avant d’utiliser cet enrênement, pouvant freiner certains chevaux n’ayant pas l’habitude. Déconseillé cependant pour les chevaux disposant d’un équilibre naturel vers l’avant et vers le bas pour lesquels l’extenseur nuit au travail de leur bon équilibre.
Conseils d’utilisation
Il est important de bien détendre son cheval avant d’utiliser un enrênement, au risque que, mal échauffé et joyeux en début de séance, il se fasse mal. Il est aussi recommandé de l’utiliser sur des séances de travail courte.
Conseils d’entretien
Laver à la main dans de l’eau savonneuse, bien rincer et sécher.
Garantie
2 ans
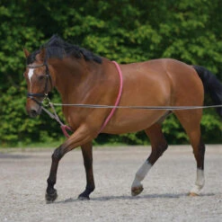
Cet enrênement a été conçu pour travailler votre cheval à la longe en vue de muscler son dos en extension d’encolure.L’enrênement extenseur permet de travailler son cheval vers le bas tout en suivant son mouvement. Il s’adapte à la position de sa tête afin d’avoir la même tension de chaque côté du mors.
Conseils de stockage
Ranger de préférence pendu dans un endroit sec et tempéré.















Avis
Il n’y a pas encore d’avis.